Service Guide

Get Ants Extermination Service

Local contractors offer ant extermination services to eliminate infestations and protect properties from damage caused by ants.

Ants can be a persistent nuisance for property owners, especially when they invade homes or commercial spaces. If you're noticing signs of an ant problem, exploring professional extermination options can help address the issue effectively. Local service providers who specialize in ant control have the experience and tools needed to assess the situation and recommend appropriate solutions, giving you peace of mind that the problem is being handled by knowledgeable experts.

Considering ant extermination services is a practical step for property owners looking to protect their investments and maintain a comfortable environment. Comparing local contractors allows you to find the right support for your specific needs, whether for ongoing prevention or immediate relief. Keep reading to learn more about how local professionals can assist with ant control and how to find the best options in your area.

Get Ants Extermination Service Quotes

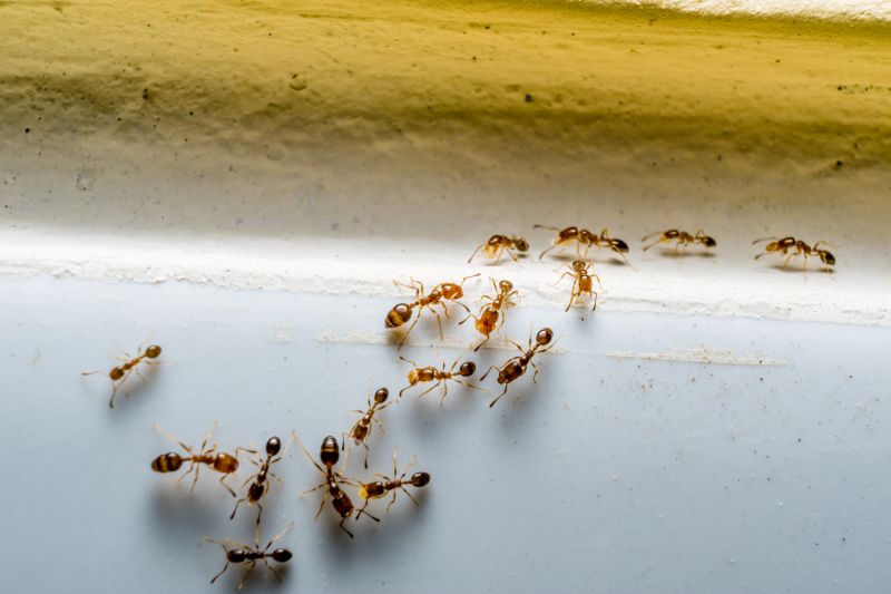
  • Ants Extermination - needed when ants invade residential or commercial spaces, creating infestations.
  • Ants Prevention - required to establish barriers and reduce the risk of future ant problems.
  • Ants Inspection - essential for identifying ant entry points and infestation severity.
  • Ants Removal - necessary when visible ant colonies threaten the comfort and hygiene of a property.
  • Ants Control - sought after for ongoing management of ant populations around homes and businesses.
Ants Extermination Service
Ants Extermination Service
Ants Extermination Service

Ants extermination services involve identifying and eliminating ant infestations within residential or commercial properties. Skilled service providers typically conduct thorough inspections to determine the extent of the problem and identify the specific ant species involved. Once the source of the infestation is located, they apply targeted treatments, which may include baits, insecticides, or other effective methods to eradicate the ants and prevent future invasions. Proper treatment ensures that ants are removed safely and efficiently, helping to restore a pest-free environment.

Ant problems can cause significant discomfort and concern for homeowners, especially when ants invade kitchens, pantries, or other areas where food is stored. Common issues include the presence of trails, nests, and increased activity around food sources or moisture. Ants can also be a sign of underlying issues such as moisture leaks or structural gaps that allow entry. Service providers help address these problems by not only removing existing colonies but also providing advice on how to reduce attractants and prevent re-infestations.

The types of properties that typically require ants extermination services range from single-family homes to multi-unit apartment complexes, retail stores, and restaurants. Homes with gardens, patios, or nearby wooded areas are more prone to ant invasions, especially during warmer months. Commercial properties that handle food or have high foot traffic often need regular pest control to maintain hygiene standards and prevent disruptions caused by ant colonies. Regardless of property size, professional extermination helps ensure a clean, pest-free environment.

Homeowners usually seek ants extermination services when they notice persistent ant trails, unusual activity inside the house, or signs of nests in walls, basements, or outdoor areas. If ants are invading kitchens, pantry shelves, or food storage areas, professional treatment can help eliminate the problem effectively. Additionally, properties experiencing recurring ant issues despite basic cleaning or DIY efforts may benefit from the expertise of local contractors who specialize in pest removal. Contacting a professional can provide peace of mind and a long-term solution to ant infestations.

The overview below groups typical Ants Extermination Service projects into broad ranges so you can see how smaller, mid-sized, and larger jobs often compare in your area.

In many markets, a large share of routine jobs stays in the lower and middle ranges, while only a smaller percentage of projects moves into the highest bands when the work is more complex or site conditions are harder than average.

Small Infestation Removal - Typical costs range from $250-$600 for many smaller ant removal jobs. Most routine infestations fall within this middle range, depending on the size of the affected area and ant species.

Localized Treatments - Expect to pay between $300-$800 for targeted treatments in specific areas of a property. Larger or more complex spots can push costs higher, but many projects stay within this range.

Full Property Extermination - Complete ant extermination for entire homes or businesses can range from $1,000-$3,000. Larger, more extensive projects or those requiring multiple visits tend to reach the higher end of this spectrum.

Ongoing Pest Management - Ongoing service plans typically cost $50-$100 per visit, with many clients opting for quarterly treatments. Costs vary based on property size and the severity of ant activity.

Actual totals will depend on details like access to the work area, the scope of the project, and the materials selected, so use these as general starting points rather than exact figures.

Get a Quote

Pest Inspection and Control - Professionals who conduct detailed inspections to identify pest activity often handle ant infestations as part of broader pest management services.

Rodent Extermination Projects - Local contractors experienced in rodent removal utilize similar planning, trapping tools, and exclusion techniques applicable to ant control efforts.

Termite Treatment Services - Experts applying chemical treatments and barriers for termites share methods and tools used in ant extermination strategies.

Spider and Insect Control - Projects targeting a variety of household insects require knowledge of pest behaviors and treatment methods comparable to ant extermination.

Bed Bug Treatment Services - Handling infestations of bed bugs involves similar planning, inspection, and chemical application skills as those used in ant control.

Wildlife Removal Projects - Removing small wildlife from residential areas involves planning, trapping, and exclusion techniques akin to those used in ant extermination services.

Ants Extermination Service

When evaluating potential service providers for ant extermination, it’s important to consider their experience with similar projects. Homeowners should inquire about how long the contractors have been handling ant control issues and whether they have encountered situations comparable to their own. A contractor’s familiarity with local ant species and effective treatment methods can be a valuable indicator of their ability to deliver reliable results. Understanding a local contractor’s background in managing ant infestations helps ensure that the chosen professional has the practical knowledge needed to address specific challenges effectively.

Clear, written expectations are essential for establishing a mutual understanding of the scope and details of the ant extermination service. Homeowners should seek service providers who can provide a detailed explanation of their approach, including the methods used and any necessary follow-up steps. Having a written outline helps prevent misunderstandings and ensures that both parties are aligned on what the service entails. This transparency allows homeowners to make informed decisions and feel confident that the contractor’s plan aligns with their needs.

Reputable references and effective communication are key factors when comparing local contractors for ant control. Homeowners are encouraged to ask for references from past clients who have had similar work completed, as this provides insight into the contractor’s reliability and quality of service. Additionally, good communication throughout the process-such as prompt responses to questions and clear explanations-can contribute to a smoother experience. It’s important to remember that the site introduces homeowners to local service providers, not that it performs the work itself, so taking the time to verify credentials and communication practices can help ensure a successful partnership.

Get an Ants Extermination Service Quote

Property owners use Ants Extermination Service services for practical projects around their homes and businesses. This guide focuses on everyday jobs and straightforward project options.

Ants Extermination Service
Ants Extermination Service

Ants can quickly become a nuisance in residential and commercial properties, especially when they invade kitchens, pantries, or outdoor living spaces. Property owners often seek ant extermination services after noticing persistent trails or unexpected ant colonies taking up residence around their homes. Local contractors specializing in pest control can assess the situation and implement effective solutions to eliminate these unwelcome visitors, helping to restore comfort and cleanliness to the property.

In many cases, ant problems arise from nearby outdoor environments or structural vulnerabilities that allow ants to access indoor spaces. Property owners may look for professional ant extermination services to address infestations that disrupt daily routines or pose potential health concerns. Local service providers are equipped to handle a variety of situations, from minor ant sightings to full-scale colonies, ensuring that residents and business owners can find the support they need to resolve their ant issues efficiently.

Get an Ants Extermination Service Quote

What are common signs of an ant infestation? Signs include visible ant trails, small piles of dirt or debris near entry points, and the presence of ants indoors or outdoors in large numbers.

How do local contractors typically eliminate ants? They often use targeted treatments such as bait stations, residual sprays, or dusts to eliminate ants and their colonies effectively.

Are ant extermination methods safe for homes with pets or children? Many service providers use products and techniques designed to minimize risks, but it’s advisable to discuss safety concerns with the chosen contractor.

What types of ants are commonly treated by local pros? Commonly treated species include odorous house ants, carpenter ants, and pavement ants, among others.

How can I prevent future ant problems after treatment? Local service providers often recommend sealing entry points, removing food and water sources, and maintaining clean surroundings to help prevent re-infestation.

Ants Extermination Planning - Property owners can schedule inspections to identify ant entry points and nesting areas around the property.

Preventive Measures - Local contractors can advise on sealing cracks and removing attractants to reduce ant activity.

Ongoing Monitoring - Setting up regular inspections can help detect early signs of ant infestations before they become severe.

Customized Treatment Strategies - Service providers can develop tailored plans based on the specific type of ants and property layout.

Ants Extermination Service

If you are thinking about Ants Extermination Service for a property, this guide is meant to help you understand the work, the typical project types, and how different options might fit your plans.

When you are ready, you can use the quote form on this page to share a few details about your project. From there, local pros can review the basics and respond with options that match what you have in mind.

Get a Quote

Ants Extermination Quotes

Our Trusted Partners
Cleveland Chemical Pest Control Service
Mosquito Shield
Orkin